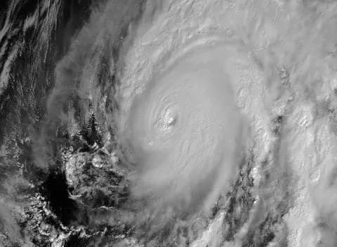
“Мексика очікує один з найсильніших штормів, які коли-небудь траплялися на тихоокеанському узбережжі”, — зазначає ресурс.
За даними видання, ураган “Вілла” направляється на центр узбережжя, де його очікують сьогодні в другій половині дня.
Вранці у вівторок шторм досяг найбільшої швидкості 130 миль/год і погрожує принести небезпечні для життя людей потоки дощу і пориви вітру на узбережжі.
У виданні також уточнили, що “Вілла” сформувався в суботу, 20 жовтня, і досяг 5-ї категорії урагану за два дні.
Наразі йому присвоєна 4-та категорія. Згідно з прогнозом, руйнівні хвилі загрожують центральному та південно-західному узбережжю країни, а масштабні опади становлять загрозу життю та можуть спровокувати зсуви й повені в районах мексиканських штатів Халіско, Наярит і Сіналоа.
Нагадаємо, наприкінці вересня біля узбережжя Мексики сформувався тропічний шторм “Пілар”.
