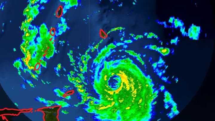
"Надзвичайно небезпечний" шторм 4-ї категорії, ураган "Берил", у неділю ввечері пронісся через Атлантичний океан у бік Навітряних островів у Карибському морі, де, як очікується, у понеділок він принесе небезпечні для життя вітри та раптові повені, повідомив Національний центр спостереження за ураганами США, пише УНН з посиланням на Reuters.
Деталі
Перший ураган сезону 2024 року стався приблизно за 240 км на південний схід від Барбадосу в неділю ввечері, з максимальною тривалою швидкістю вітру 215 км/год, йдеться в повідомленні центру.
"Очікується, що "Берил" залишиться надзвичайно небезпечним великим ураганом, на тлі того, як його ядро рухається через Навітряні острови у східну частину Карибського моря", - ідеться в повідомленні центру.
Очікується, що в понеділок вранці за місцевим часом центр урагану пройде через Навітряні острови як шторм категорії 4, другий за силою рівень за п'ятиступінчастою шкалою, що завдасть "потенційно катастрофічної шкоди від вітру" Сент-Вінсенту та Гренадинам, а також Гренаді.
Рідко трапляється, щоби сильний ураган з'являвся так рано в сезоні ураганів в Атлантиці, який триває з 1 червня по 30 листопада, вказує видання. У неділю "Берил" став найбільш раннім за всю історію ураганом 4-ї категорії, випередивши ураган "Денніс", який перейшов до 4-ї категорії 8 липня 2005 року, за даними центру спостереження за ураганами США.
Попередження про урагани були оголошені на Барбадосі, у Сент-Люсії, Сент-Вінсенті та островах Гренадін, у Гренаді та Тобаго. Для Домініки, Тринідаду, а також деяких частин Домініканської Республіки та Гаїті випущено попередження про тропічні шторми.
Влада та жителі Карибських островів готувалися до приходу шторму.
За словами влади, Тобаго відкрило притулки, закрило школи на понеділок та відмінило планові операції у лікарнях.
Очікується, що ураган принесе від 8 до 15 см дощу на Барбадосі та Навітряних островах протягом дня у понеділок, що, як попередив центр спостереження за ураганами США, може спричинити раптові повені у вразливих районах.
Очікується, що великі небезпечні хвилі обрушаться на південні узбережжя Пуерто-Ріко та Еспаньйоли.
Доповнення
У травні Національне управління океанічних та атмосферних досліджень США передбачило активність ураганів в Атлантиці у 2024 році, що перевищує норму, частково через майже рекордно високі температури океану.
